Oprensning af klorerede opløsningsmidler ved stimuleret reduktiv deklorering - bilagsrapport


Indholdsfortegnelse

Bilag A Boreprofiler og sigtekurver

Bilag B Resultat af trinvis pumpetest samt flowlog (forundersøgelse)

Bilag C Pejleresultater og grundvandspotentialekort

Bilag D Produktblad på HRCTM og HRC Primer

Bilag E Regenesis‘ forslag til substratmængder

Bilag F Beregning af substratmængder

Bilag G Modelsimulering af stofspredning

Bilag H Fotos fra injektionen

Bilag I Beskrivelse af injektionsmetode samt erfaringer fra injektionen

Bilag J Indledende målinger af ilt og nitrat

Bilag K Analyseresultater

Bilag L Konturplots

Bilag M Regenesis‘ kommentarer til rapporten samt økonomisk vurdering af HRC.  


Bilag A Boreprofiler og sigtekurver

 Klik på billederne for at se dem i naturlig størrelse.

 

 

 

Bilag B Resultat af trinvis pumpetest samt flowlog (forundersøgelse)

 Klik på billederne for at se det i naturlig størrelse

 

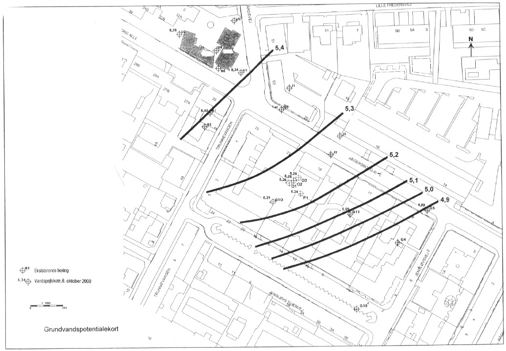
Bilag C Pejleresultater og grundvandspotentialekort

Jægersborg Allé (nivellement og pejlinger)



Klik på billedet for at se html-version af "Jægersborg Allé (nivellement og pejlinger) ".



Klik på billedet for at se html-version af "Jægersborg Allé (nivellement og pejlinger) del 2".

Klik på billederne for at se dem i naturlig størrelse:

 

 

Bilag D Produktblad på HRCTM og HRC Primer

MATERIAL SAFETY DATA SHEET

Last Revised: July 1, 2000

Section 1 - Material Identification

Supplier: Applied Power Concepts, Inc.
  411 East Julianna St.
  Anaheim, CA 92801
   
Telephone: (714) 502-1150
Facsimile: (714) 502-2450
   
Chemical Name: Propanoic acid, 2-[2-[2-(2-hydroxy-1-oxopropoxy)-1-oxopropoxy]
  -1-oxopropoxy]-1,2,3-propanetriyl ester
   
Chemical Family: Organic Chemical
   
Trade Name: Glycerol tripolylactate
   


Section 2 - Hazardous Ingredients

CAS #. 201167-72-8

One should anticipate the potential for eye irritation and skin irritation with large scale exposure or in sensitive individuals.


Section 3 - Physical Data

Melting Point: NA    
Boiling Point: ND    
Flash Point: ND    
Density: 1.347    
Solubility: Acetone and DMSO  
Appearance: Pale white semi-solid  
Odor: Not detectable    
Vapor Pressure: None    
       

Section 4 - Fire and Explosion Hazard Data

Extinguishing Media: Carbon Dioxide, Dry Chemical Powder or Appropriate Foam.

Water may be used to keep exposed containers cool.

For large quantities involved in a fire, one should wear full protective clothing and a NIOSH approved self contained breathing apparatus with full face piece operated in the pressure demand or positive pressure mode as for a situation where lack of oxygen and excess heat are present.

 

Section 5 - Toxicological Information

Acute Effects: May be harmful by inhalation, ingestion, or skin absorption.

May cause irritation. To the best of our knowledge, the chemical, physical, and toxicological properties of the glycerol tripolylactate have not been investigated. Listed below are the toxicological information for glycerol and lactic acid.

RTECS#: MA8050000  
          Glycerol  
     
Irritation data: SKN-RBT 500 MG/24H MLD 85JCAE-,207,1986
  EYE-RBT 126 MG MLD BIOFX* 9-4/1970
  EYE-RBT 500 MG/24H MLD 85JCAE-,207,1986
     
Toxicity data: ORL-MUS LD50:4090 MG/KG FRZKAP (6),56,1977
  SCU-RBT LD50:100 MG/KG NIIRDN 6,215,1982
  ORL-RAT LD50:12600 MG/KG FEPRA7 4,142,1945
  IHL-RAT LC50: >570 MG/M3/1H BIOFX* 9-4/1970
  IPR-RAT LD50: 4420 MG/KG RCOCB8 56,125,1987
  IVN-RAT LD50:5566 MG/KG ARZNAD 26,1581,1976
  IPR-MUS LD50: 8700 MG/KG ARZNAD 26,1579,1978
  SCU-MUS LD50:91 MG/KG NIIRDN 6,215,1982
  IVN-MUS LD50: 4250 MG/KG JAPMA8 39,583,1950
  ORL-RBT LD50: 27 GM/KG DMDJAP 31,276,1959
  SKN-RBT LD50:>10GM/KG BIOFX* 9-4/1970
  IVN-RBT LD50: 53 GM/KG NIIRDN 6,215,1982
  ORL-GPG LD50: 7750 MG/KG JIHTAB 23,259,1941

Target Organ data: Behavioral (headache), gastrointestinal (nausea or vomiting), Paternal effects (spermatogenesis, testes, epididymis, sperm duct), effects of fertility (male fertility index, post-implantation mortality).

RTECS#: OD2800000  
Lactic acid  
     
Irritation data: SKN-RBT 5MG/24H SEV 85JCAE -,656,86
  EYE-RBT 750 UG SEV AJOPAA 29,1363,46
     
Toxicity data: ORL-RAT LD50:3543 MG/KG FMCHA2-,C252,91
  SKN-RBT LD50:>2 GM/KG FMCHA2-,C252,91
  ORL-MUS LD50: 4875 MG/KG FAONAU 40,144,67
  ORL-GPG LD50: 1810 MG/KG JIHTAB 23,259,41
  ORL-QAL LD50: >2250 MG/KG FMCHA2-,C252,91

Only selected registry of toxic effects of chemical substances (RTECS) data is presented here. See actual entry in RTECS for complete information on lactic acid and glycerol.

 

Section 6 - Health Hazard Data

Handling: Avoid continued contact with skin. Avoid contact with eyes.

In any case of any exposure which elicits a response, a physician should be consulted immediately.

First Aid Procedures: 

Inhalation: Remove to fresh air. If not breathing give artificial respiration. In case of labored breathing give oxygen.  Call a physician.

Ingestion: No effects expected. Do not give anything to an unconscious person. Call a physician immediately.

Skin Contact: Flush with plenty of water. Contaminated clothing may be washed or dry cleaned normally.

Eye contact: Wash eyes with plenty of water for at least 15 minutes lifting both upper and lower lids. Call a physician.


Section 7 - Reactivity Data

Conditions to Avoid: Strong oxidizing agents, bases and acids Hazardous Polymerization: None known

Further Information: Hydrolyses in water to form Lactic Acid and Glycerol.


Section 8 - Spill, Leak or Accident Procedures

After Spillage or Leakage: Neutralization is not required.

This combustible material may be burned in a chemical incinerator equipped with an afterburner and scrubber.

Disposal: Laws and regulations for disposal vary widely by locality. Observe all applicable regulations and laws. This material, may be disposed of in solid waste. Material is readily degradable and hydrolyses in several hours.

No requirement for a reportable quantity (CERCLA) of a spill is known.


Section 9 - Special Protection or Handling

Should be stored in plastic lined steel, plastic, glass, aluminum, stainless steel, or reinforced fiberglass containers.

Protective Gloves: Vinyl or Rubber

Eyes: Splash Goggles or Full Face Shield. Area should have approved means of washing eyes.

Ventilation: General exhaust.

Storage: Store in cool, dry, ventilated area. Store in cool, dry, ventilated area.Protect from imcompatible materials.


Section 10 - Other Information

This material will degrade in the environment by hydrolysis to lactic acid and glycerol. Materials containing reactive chemicals should be used only by personnel with appropriate chemical training.

The information contained in this document is the best available to the supplier as of the time of writing. Some possible hazards have been determined by analogy to similar classes of material. No separate tests have been performed on the toxicity of this material. The items in this document are subject to change and clarification as more information becomes available.

Applied Power Concepts, Inc.
411 E. Julianna Street
Anaheim, CA 92801
TEL (714) 502-1150
FAX (714) 502-2450

November 21, 2000

Certificate of Analysis
HRC Primer

Glycerol Polylactate: 50.0%

Lactic Acid: 40.0%

Glycerin: 10.0%

Viscosity: 1,020 Cp

Density: 1.02 g/ml

Solubility: Water Soluble

Note: Lactic acid and glycerin are used as viscosity control agents.

Bilag E Regenesis‘ forslag til substratmængder

9 Bard Avenue Red Hook, NY 12571
Phone: 914.758.9243
Fax: 914.758.9253
Corporate: 949.366.8000
Homepage: http//www.regenesis.com
e-mail: dave@regenesis.com

9 October 2000

H157d

Christian Mossing
Hedeselskabet Denmark

Via G. Moller; baltecdk@post2.tele.dk

Subject: Field Pilot Test for Use of Hydrogen Release Compound (HRC) at the Copenhagen County site (Jægesborg Allé 24 and Trunnevangen 2).

Dear Mr. Mossing:

We have evaluated the latest information that you provided for the Copenhagen County HRC pilot site. The following sections describe the use of HRC for CH treatment and design information for the proposed HRC field pilot implementation. Additional sections at the end of this proposal discuss performance and delivery issues and recommended monitoring for an HRC program.

Effect of Competing Electron Acceptors on HRC Requirements

  • The concentrations of competing electron acceptors (CEAs) such as dissolved oxygen, nitrate, ferric iron, and sulfate, have an effect on the amount of HRC required for the enhancement of in situ bioremediation. In particular, sulfate levels have a significant impact on HRC dosing requirements.
  • Based on the available data we have assumed the following CEA concentrations: oxygen <1ppm, nitrate <50 ppm, manganese reduction potential <0.5 ppm, ferric iron reduction potential(soil and water)<4 ppm, and sulfate reduction demand <50 ppm. Higher CEA electron donor demand may require increased amounts of HRC to achieve remedial goals. However, the use of HRC Primer will be used to quickly improve these aquifer conditions.

Field Testing Program

Due to the high concentration of some competing electron acceptors we are recommending the use of HRC Primer in an additional upgradient injection line from the primary HRC treatment injection line. The distance from the installed array of monitoring wells (O1, O2, & O3) and the HRC Primer line should be

3 meters; we have seen upgradeint diffusion of the HRC affects into the wells at closer distances. After the HRC Primer injection line there should be 2 meters to the HRC injection line. The injection points between the two injection rows should form a swatooth pattern.

For the pilot test we have assumed the higher velocity of the lower zone of 118m/year. The same

HRC/HRC Primer injection rates will be used through the entire treatment thickness. This seems the best approach due to the competing electron acceptor presence. Design parameters for the HRC field test are described below:

Christian Mossing-Hedeselkabet

HRC Pilot application, Jægersborg Allé 24, Gentofte 9 October 2000 Revision page 2

NOTE: Regenesis foreslår anvendelse af 1.034 kg HRC Primer og 830 kg HRC. Af nedenstående fremgår det imidlertid, at der er byttet om på mængderne, således at der skal injiceres HRC i 5 punkter, svarende til de 1.034 kg og at der skal injiceres primer i 4 punkter svarende til 830 kg.

Jaegersborge Alle Field Test Design Feature

Specification

Contaminated saturated thickness 11.5 m (38ft), 5.5m-17m depth

Number of HRC Primer delivery points
Number of HRC delivery pts.

4 points, 2 m spacing, 1 row
5 points, 2 m spacing, 1 rows

HRC Primer application rate
HRC application rate

18 kg/ vertical meter or 12 lbs/ft
18 kg/m or 12 lbs/ft
HRC Primer material requirement (30lbs/bucket)
HRC material requirement (30 lbs/bucket)

5 pts x 38 ft x 12 lbs = 2,280 pounds(1034 kg)
4 pts x 38 ft x 12 lbs=1824 or 1830 pounds (830 kg)

 

HRC Delivery to Contaminated Zone

Typically, HRC and HRC Primer are applied using direct push hydraulic equipment. Drive rods are pushed to the bottom of the contaminated saturated zone and then HRC is injected as the rods are withdrawn. The minimum recommended rod size is a 0.625-inch (16mm) inner diameter. For sites where direct push is not feasible, auger-based equipment can be used to deliver HRC. Also, the use of permanent, small diameter re-injection wells may be a more cost-effective approach for sites requiring repeated applications of HRC. Technical support personnel at Regenesis are available to discuss the suitability of alternate HRC delivery methods.

Costs for HRC injection should be obtained from local subcontractors. If necessary, Regenesis can assist in locating qualified HRC injection subcontractors. Budgetary cost estimates for direct push-based injection range from $1,000 to $2,000US per day. Typically, one to two HRC injection points can be completed per hour and up to 20 points can be completed per day, depending on soil type, depths of injection, and subcontractor experience.

HRC should be injected using an appropriate pump capable of processing a material with a viscosity of 20,000 centipoise at flow rates of 11 to 38 liters (3 to 10 gallons) per minute at pressures ranging from 14 bar to 102 bar (200 psig to 1,500 psig). Failure to use appropriate equipment could increase field time and result in improper application of the HRC. Regenesis can provide a suitable pump for a cost of $150US per day plus shipping.

Recommended Groundwater Monitoring Program for Pilot/Full Scale Treatment

Monitoring of selected wells should be conducted to validate the HRC-based enhancement of reductive dechlorination processes. Also, an initial or “baseline” round of sampling should be performed to identify pre-HRC installation groundwater conditions. After delivery of the HRC to the subsurface, samples can be collected on a monthly or bi-monthly frequency. After the initial biodegradation and geochemical trends have been identified, the monitoring frequency can be decreased to a quarterly, semiannual, or annual program.

Christian Mossing-Hedeselkabet

HRC Pilot application, Jægersborg Allé 24, Gentofte 9 October 2000 Revision page 3

The monitoring program should employ low flow groundwater sampling techniques and include the measurement of the following field/chemical parameters:

  • all relevant contaminants
  • field parameters: dissolved oxygen, ORP, pH, temperature, and ferrous iron (optional field measurement)
  • natural attenuation/inorganic parameters: total and dissolved iron, total and dissolved manganese, nitrate, sulfate, sulfide, and chloride (design phase)
  • HRC-based electron donor: total organic carbon and metabolic acids (lactic, pyruvic, acetic, propionic, and butyric)
  • End-product dissolved gases: carbon dioxide, methane, ethane and ethene

A specially qualified laboratory should do the analytical testing for the metabolic acids, otherwise most laboratories can provide testing for the remaining parameters. A typical cost for the above testing program is approximately $300US per sample.

We appreciate the opportunity to provide this information for your project. Please feel free to call if you have any questions or need more information. I can be reached at 914.758.9243 EST. You can also contact Pen Herring at 949.366.8000 PST. Our email addresses are pen@regenesis.com and dave@regenesis.com.

Sincerely,

David S. Peterson

Applications Engineering Manager cc: Pen Herring, Regenesis

Bilag F Beregning af substratmængder

Reaktionsligninger

Mælkesyre (hydrogen laktat) har bruttoformlen CH3CHOHCOOH (C3H6O3). I denne forbindelse har carbon oxidationstrinnet 0. Mælkesyre har molvægten 90.

Mælkesyre kan reagere med følgende oxidanter O2, NO3-, Fe+++, SO4 --, og ved forgæring med vand (metanogenese).

Reaktionsligningerne for reaktionerne er:

Med fri ilt:

C3H6O3 + 3 O2 —» 3 CO2 + 6 H2O, her bruges 90 g laktat til 96 g ilt eller 0,93 g laktat/g ilt

Med nitrat:

5 C3H6O3 + 12 NO3- + 12 H+ —» 15 CO2 + 6 N2 + 21 H2O, her bruges 450 g laktat til 744 g nitrat eller 0,61 g laktat/g nitrat

Med jern:

C3H6O3 + 12 Fe+++ + 3 H2—» 3 CO2 + 12 Fe++ + 12 H+ , her bruges 90 g laktat til 670 g Fe, eller 0,13 g laktat/g jern                  

Med sulfat:

4 C3H6O3 + 6 SO4--—»12 CO2 +6 S-- + 12 H2O, her bruges 360 g laktat til 576 g sulfat, eller 0,63g laktat/g sulfat                  

Ved forgæring:        

2 C3H6O3 —» 3 CO2 + 3 CH4, her bruges 180 g laktat til 48 g metan, eller 3,75 g laktat/g metan.          

Flux beregninger

I det følgende vurderes om de anbefalede mængder HRC og primer er tilstrækkelige til at ”fjerne” det årlige flux af konkurrerende elektronacceptorer, således at betingelserne for reduktiv deklorering er tilstede.

Følgende forudsætninger gælder for beregningerne:

Grundvandsstrømningshastigheden er 190 m/år, porøsiteten er 0,25, baggrundsniveauet for ilt er 1 mg/l, nitrat 75 mg/l, jern (III) 0,5g/kg (udfældet jern) og sulfat 200 mg/l. Baggrundsniveauet for ilt, nitrat og sulfat er baseret på de kemiske analyser der er udført i forbindelse med forundersøgelsen /2/, mens indholdet af sedimentbundet jern(III) er baseret på analyserne af sedimentets oxidationskapacitet.

Regensis har vurderet, at HRC og primer har en levetid på ca. 1 år. Mængden af HRC og primer skal derfor sammenlignes med det årlige flux af konkurrerende elektronacceptorer gennem tværsnittet for injektionen af HRC og Primeren.

Opløste forbindelser  

Baggrundsniveauerne i grundvandet er vurderet til at være følgende:  

Opl. Ilt: = 1 mg/l

Nitrat: = 75 mg/l

Sulfat = 200 mg/l

Der er desuden anvendt en grundvandsstrømningshastighed på 190 m/år og en porøsitet på 0,25. Bredden af behandlingszonen er 10 meter og dybden af behandlingszonen (akviferen) er 11 meter. Det totale årlige vandflux gennem tværsnittet er således 190 m x 10 m x 11 m x 0,25 = 5.225 m3.

Fluxen af konkurrerende elektronacceptorer er derfor følgende:

Opl. Ilt (5.225 m3 x 1 g/m3) = 5.225 g (5,2 kg)

Nitrat (5.225 m3 x 75 g/m3) = 391.875 g (391 kg)

Sulfat (5.225 m3 x 200 g/m3)  = 1.045.000 g (1.045 kg)

Ved at gange fluxen med reaktionsforholdet med laktat fås et estimat af den samlede mængde laktat, der skal tilsættes for at fjerne disse elektronacceptorer:

Opl. Ilt (5,2 kg x 0,93) = 4,8 kg laktat

Nitrat (391 kg x 0,61) = 239 kg laktat

Sulfat (1.045 kg x 0,63) = 658 kg laktat        

Faste forbindelser  

Baggrundsniveauet for sedimentbundet jern(III) er vurderet til at være 0,5 g/kg.

Det berørte sedimentvolumen kan regnes ud på følgende vis: 190 m x 10 m x 11 m = 20.900 m3.

Med en porøsitet på 0,25 udgør den faste del af sedimentet 15.675 m3. Vægten af sedimentet er: 15.675 m3 x 1,8 t/m3 = 28.215 t.

Ved anvendelse af et indhold af jern(III) på 0,5 g pr. kg sediment fås således et samlet indhold af jern(III) på: 28.215.000 kg x 0,5 g/kg = 14.107 kg.

På samme vis som ved de opløste forbindelser kan laktatbehovet regnes ud fra de støkiometriske reaktionsforhold: Jern(III) (14.107 kg x 0,13) = 1.834 kg laktat

Bilag G Modelsimulering af stofspredning

Forudsætninger for modelsimuleringer

I den oprindelige forundersøgelse er der udført en simuleret udbredelse af en tracer i de oprindeligt planlagte HRC-injektionspunkter. På baggrund af modellen blev det vurderet, at der ville være fuldt gennembrud af stoffet i det midterste lag i grundvandsmagasinet (hvor porevandshastigheden er langsomst) efter 45 dage. Det ville altså tage ca. 45 dage før hele det oprindelige testområde ville være ”dækket” af HRC.

De kritiske parametre for at sikre en homogen opblanding af HRC og primer i akviferen er dispersiviteterne. Der er derfor gennemført en følsomhedsanalyse ved indsættelse af forskellige værdier for dispersiviteterne i den opstillede model.

I det følgende gennemgås kort de tre dispersiviteter og deres influens på udbredelsen af HRC og primer.

Horisontal longitudinal (L): er dispersiviteten, der beskriver opblandingen i grundvandsstrømningsretningen. Stofspredningen i denne retning som funktion af dispersionen overskygges langt af usikkerhederne i grundvandsstrømningshastigheden, hvorfor bestemmelse af denne dispersivitet er af mindre betydning.

Horisontal transversal (T): er dispersiviteten, der beskriver opblandingen horisontalt på tværs af grundvandsstrømningsretningen. Denne dispersivitet er meget afgørende for om der sker en homogen opblanding af HRC og primer nedstrøms de 9 injektionspunkter eller om der kommer 9 smalle faner.

Vertikal transversal (V): er dispersiviteten, der beskriver opblandingen henover dybden af akviferen. Denne dispersivitet er mindre væsentlig for spredningen, da HRC og Primeren injiceres over hele akviferdybden, hvorfor man må forvente fuld opblanding over hele den mættede zone.

I begge modelsimuleringerne er der anvendt en effektiv porøsitet på 0,25, en gradient på 0,0015, en KH på 1,1 * 10-3 m/s og en KV på 1,1 * 10-4 m/s. Den molekylære diffusion Dmolekylær er sat til 0 og cellestørrelsen er sat til 0,2 m.

Den horisontale longitudinale dispersivitet L ligger ca. mellem 0,5 og 5 m, med en forsøgsskala omkring 30 meter (Bjerg et al., 1996)

Plot over udbredelsen 25 dage efter injektion af HRC er vedlagt som hhv. plot nr. 1 og 2. Bemærk at boringsplaceringen er fra et ældre setup. Boring M2, M4 og M5 bibeholdes som boring M1, M2 og M3 i det nye setup.

I plot nr. 1 er følgende dispersiviteter anvendt:

L : 0,005 m

T : 0,0005 m

V : 0,00005 m

I dette tilfælde er T –værdien 1/20 af den anbefalede værdi på 0,01 (Miljøstyrelsen, 1998). Som følge af dette ses tydeligt den dårlige opblanding af HRC‘en og de 9 enkelte faner. Denne T –værdi vurderes dog at være urealistisk lav.

I plot nr. 2 er følgende dispersiviteter anvendt:

L : 0,02 m

T : 0,002 m

V : 0,0002 m

I dette tilfælde er T –værdien 1/5 af den anbefalede værdi på 0,01 (Miljøstyrelsen, 1998). Denne T –værdi vurderes at være realistisk (og et konservativt estimat). Som det ses af plottet, sker der en forholdsvis hurtig og homogen opblanding af HRC og Primer horisontalt, på tværs af grundvandsstrømningsretningen.


 

Bilag H Fotos fra injektionen

Omhældning af HRC/primer til beholder. Til højre ses stempelpumpen med de 2 kredsløb. Til venstre ses kontrolenhed.

Beholder med primer

Geoproben ses forrest. Centralt bagerst ses lastvognen med tilbehør til Geoprobe ved siden af generatoren

Bilag I Beskrivelse af injektionsmetode samt erfaringer fra injektionen

ECM

  1. Indledning
    I forbindelse med forurening af chlorerede opløsningsmidler på Jægersborg Allé 24, Gentofte har Københavns Amt og Miljøstyrelsen igangsat et pilotprojekt for afværge.
    Pilotprojektet for afværge er at tilsætte HRC til grundvandet ved hjælp af Geoprobe. Ejlskov Consult har udført injektionen af HRC ved hjælp af Geoprobe, i samarbejde med entreprenørfirmaet Per Aarsleff A/S.
  2. Baggrund og injektionsprincip
    Koncentrationerne af CEAs (Competing electron acceptors) som for eksempel opløst ilt, Nitrat, Jern(III) og Sulfat har en effekt på den mængde af HRC som er nødvendig for at forøge in situ bioremediationen. Sulfatmængden vil i særdeleshed have en betydelig ind-flydelse på doseringen af HRC.

    Baseret på de tilgængelige data er følgende estimater gjort på CEA-koncentrationerne: ilt<1 ppm, Nitrat<50 ppm, Mangan reduktion<0,5 ppm, Jern(III) reduktion<4 ppm og Sulfat reduktion<50 ppm.

    På baggrund af de høje CEA-koncentrationer er der tilsat en HRC Primer i en opadrettet gradient injektionslinje fra HRC injektionslinjen.

    Distancen fra moniteringsboringerne, benævnt O1, O2 og O3, og injektionslinjen med HRC Primer er 3 meter, da man tidligere har erfaret, at der er sket en opadrettet diffusion af HRC i moniteringsboringerne, hvis distancen er mindre.

    Der bør/skal være 2 meter fra injektionslinjen med HRC Primer til selve HRC injektions-linjen. Injektionspunkterne mellem de to injektionsrækker skal danne et zigzag mønster.
  3. Bore- og injektionsarbejder
    Bore- og injektionsarbejderne er udført i perioden mandag 2001-04-30 til fredag den 2001-05-04.

    Injektionspunkterne var afsat af Hedeselskabet inden opstart af borearbejdet.

    Borearbejderne er udført af Ejlskov Consult i samarbejde med Per Aarsleff A/S. Rammeboringerne er alle udført med 1,25 ” Geoprobe borestænger. Hvorigennem injektionen er foretaget.

    Der blev udført en række med 4 boringer med injektion af Primer. Boringerne er benævnt 1, 2, 3 og 4 og vist på Tegning 1.

    Der blev herefter udført en række med 5 boringer med injektion af HRC. Boringerne er benævnt 5, 6, 7, 8A og 9 og vist på Tegning 1.

    Ved injektionen af Primer og HRC blev der benyttet en specialpumpe med en trykydelse på op til 100 bar. Som udgangspunkt er der foretaget injektion af Primer/HRC i intervaller á 30-50 cm. Som dokumentation for de forskellige intervaller henvises til injektionsskemaerne i bilag 1.

    Under udførsel af borearbejde ved boring 6 knækkede der en borestang. Der blev efterfølgende udført en ny boring ved siden af.

    Der er i de 4 Primer-boringer pumpet 692 l Primer ned i grundvandet.

    Der er er i de 5 HRC-boringer pumpet 912 l HRC ned i grundvandet.

    Der blev også udført en boring 8b. Fra boring 8b blev der udtaget 6 intakte kerneprøver til geologisk beskrivelse. De 6 intakte kerneprøver blev udtaget i følgende dybder: [5,25-5,75], [6,25-6,75], [8,25-8,75], [10,25-10,75], [12,75-13,25] og [15,25-15,75]. Dybderne er angivet i meter under terræn.
  4. Konklusion
    I dette pilotprojekt er der i 9 punkter nedrammet 1,25 ” Geoprobe borestænger ned i jorden, til ca. mellem 14-18 m u.t. Igennem disse borestænger er der nedpumpet. Der er blevet pumpet 692 l Primer og 912 l HRC ned i grundvandet.

Erfaringer med injektion af HRC/HRC Primer

Injektionen blev udført i perioden mandag den 30. april 2001 til fredag den 4. maj 2001. Det samlede tidsforbrug til injektionen var således 5 dage mod forventede 3 dage. Den ene dag blev dog brugt på at udtage intakte sedimentkerner.

Udstyret til injektionen var specielt hjemtaget til opgaven og styring af pumpen foregik ved en kontrolenhed, hvor dybden, injektionsvolumen, modtryk og tid blev registreret. For hver 30-50 cm blev der gjort ophold under tilbagetrækningen af rørene, og der blev pumpet et gennemsnitligt volumen på 5 liter ned pr. ophold.

De injicerede volumener varierer dog meget og skyldes vanskeligheder ved at trykke substratet ud i formationen. Dette tilskrives primært variation i permeabiliteten i sedimentet. Opvarmningen af HRC ved friktionen i pumpen hjalp noget, men substratet blev sandsynligvis nedkølet igen i den lange passage gennem slanger og rør.

Tilstedeværelsen af HRC i et filter ca. 2-3 meter fra injektionen indikerer, at der er sket en frakturering i sedimentet. En sådan frakturering kan kun ske under kraftigt tryk, hvorfor det resulterende tryk, hvormed HRC er injiceret i sedimentet må have været ganske betydeligt. Det vurderes dog, at injektionen kunne have været nemmere ved brug af en større diameter slanger og rør. Dels ville afkølingen af HRC være mindre, ligesom tryktabet vil reduceres. Enkelte injektioner blev ikke ført helt til bund af grundvandsmagasinet, pga. problemer med sten etc..

Af afsnittet 4.4 (resultater) fremgår det, at substratet er meget ujævnt fordelt i grundvandsmagasinet. Der er således primært konstateret substrat i de nedre filtre, og der er tillige observeret HRC i en af de opstrøms boringer, hvor ”baggrundsniveauerne” skulle overvåges.

Den ujævne fordeling af substrat skyldes ikke injektion af forskelligt volumen i dybdeintervallet, som det fremgår af loggen over injicerede mængder (bilag I). Derimod vurderes selve metoden med ”open tip” at være årsag til den ujævne fordeling. Ved at injicere fra bunden af grundvandsmagasinet til toppen efterlades et åbent hul i sedimentet hvori substratet kan flyde. Strømningen af substrat vil altid følge passager med lavere modstand. Sedimentet i bunden af grundvandsmagasinet er mere grovkornet og dermed må antages at have større permeabilitet. Det injicerede substrat vil derfor følge det efterladte åbne hul i sedimentet og skydes ud langs det grove sediment bunden, i stedet for at trænge ind i det mere lavpermeable sediment i den mellemste og øvre del af grundvandsmagasinet.

Bilag J Indledende målinger af ilt og nitrat

Klik på billederne for at se dem i naturlig størrelse:

 

 

Bilag K Analyseresultater

 


Klik på billedet for at se html-version af: ‘Analyseresultater april 2001‘

 


Klik på billedet for at se html-version af: ‘April 2001‘



Klik på billedet for at se html-version af: ‘April 2001‘



Klik på billedet for at se html-version af: ‘Oktober 2001‘


Klik på billedet for at se html-version af: ‘Oktober 2001‘


Klik på billedet for at se html-version af: ‘Oktober 2001‘



Klik på billedet for at se html-version af tabellen



Klik på billedet for at se html-version af tabellen



Klik på billedet for at se html-version af tabellen

 

Klik på billedet for at se html-version af tabellen

Bilag L Konturplots




Klik på billedet for at se html-version af: ‘Ilt-koncentration i grundvandet (mg/l) - april 2001‘



Klik på billedet for at se html-version af: ‘Ilt-koncentration i grundvandet (mg/l) - oktober 2001‘



Klik på billedet for at se html-version af: ‘Nitrat-koncentration i grundvandet (mg/l) - april 2001‘




Klik på billedet for at se html-version af: ‘Nitrat-koncentration i grundvandet (mg/l) - oktober 2001‘




Klik på billedet for at se html-version af: ‘Jern(II)-koncentration i grundvandet (mg/l) - april 2001‘



Klik på billedet for at se html-version af: ‘Jern(II)-koncentration (mg/l) - april 2001‘




Klik på billedet for at se html-version af: ‘Jern(II)-koncentration i grundvandet (mg/l) - oktober 2001‘




Klik på billedet for at se html-version af: ‘Sulfat-koncentration i grundvandet (mg/l) - april 2001‘




Klik på billedet for at se html-version af: ‘Sulfat-koncentration i grundvandet (mg/l) - oktober 2001‘




Klik på billedet for at se html-version af: ‘PCE-koncentration i grundvandet (mg/l) - april 2001 ‘




Klik på billedet for at se html-version af: ‘PCE-koncentration i grundvandet (mg/l) - april 2001‘



Klik på billedet for at se html-version af: ‘Cis-DCE-koncentration i grundvandet (mg/l) - april 2001‘




Klik på billedet for at se html-version af: ‘Cis-DCE-koncentration i grundvandet (mg/l) - oktober 2001‘

 

Bilag M Regenesis‘ kommentarer til rapporten samt økonomisk vurdering af HRC.  

1 April 2003

Christian Mossing Hedeselskabet Miljo-og Energidivisionen Ringstedvej 20 Roskilde, Denmark 4000 Via e-mail: CMO@hedeselskabet.fk

Subject: General Comments on the Hydrogen Release Compound (HRC®) Pilot Test and Report County of Copenhagen Jaegesborge Alle 24 site.

Dear Mr. Mossing:

With the assistance of Gunnar Møller we have reviewed the Jaegersborge Alle 24 report. Many of the issues we have discussed previously are presented in a scientific manner in the report so there is probably no need to go over the details on the technical side. The monitoring network at the site with good vertical control was very nice to have and has revealed some important aspects of working with HRC in this environment. Unfortunately, the monitoring program’s sampling frequency and analytes have left gaps in the treatment history and our ability to fully evaluate the performance of HRC. In addition, monthly field data collected did not necessarily correlate with the VOC or geochemical data collected; field parameters are often not an accurate representation of aquifer conditions. Below are some general comments related to this pilot test and HRC in general.

  • The test commenced in aquifer zones that were at or above denitrification. Some competing electron acceptor/redox conditions and velocity exceeded the design inputs used for HRC volume estimation. Some dechlorination of TCA and to a lesser degree PCE/TCE may have occurred in the early phase of the pilot; TCA is generally degraded preferentially to PCE/TCE which may explain more evidence of DCA. It is also possible that in the zones where the HRC was evident or injected the treatment zone shifted further downgradient due to the use of the water-soluble HRC Primer, the higher velocity, and redox conditions. It could have been useful to perform additional groundwater sampling via probing downgradient of a treatment barrier at places where there were no monitoring wells.
  • The presence of daughter products, cis-DCE and 1,1 DCA, observed in some well samples should be an indication of the presence of reductive-dechlorinating microorganisms. A microbial screening may still be worthwhile to understand the aquifer conditions.
  • The vertical distribution of the redox and metabolic acid data does indicate an uneven distribution of the HRC mostly toward the bottom half of the treated aquifer section. We have observed some uneven HRC distributions in aquifers with distinct permeability differences but not to this degree. Any further probe-injections should use an injection tip that injects horizontally.

9 Bard Avenue, Red Hook, NY 12571 ph. 845 758 9243 fx. 845 758 9253 Corp. ph. 949 366 8000 http://www.Regenesis.com dave@Regenesis.com

1 April 2003
  • Although the substrate lasted 12 months as planned the effect was not only diminished by the uneven vertical distribution from the injection but the rapid release of the HRC Primer. We suspect that in this fast aquifer the HRC Primer’s effect may have been distributed too quickly downgradient from the core of the test area. We do find regular HRC lasting as long as 18 months on some low-flow sites.
  • If there was ’clogging’ of the aquifer the effects are reversible since HRC is completely degraded in the subsurface and naturally aerobic conditions in an aquifer can mobilize the reduced metals after the reductive dechlorination is completed.
  • The hydraulic and redox factors can definitely be cost controlling elements in accelerated natural attenuation using HRC for low concentration chlorinated hydrocarbon sites. The role of the redox control in cost is often less important with treatment of higher concentrations. In addition, the type of treatment approach can have an impact on the cost due to the time the treatment is needed. Often traditional systems run for many years and/or reach asymptotic limits. With the application of HRC it is often better to use a grid format and treat large sections of the plume to shorten the treatment time. A similar approach is to use a series of barriers to develop a long treatment zone parallel to groundwater flow for groundwater systems with higher velocities, contaminant concentrations and redox problems.

Attached are some information slides comparing different treatment methods for chlorinated hydrocarbons for both high and low concentration conditions. Also attached is the State of New Jersey’s (U.S) HRC-Certification that includes an economic analysis and energy usage. HRC is being tested or used on approximately 450 sites including 35 outside of North America. Numerous ’peer reviewed’ scientific papers have been published on the use and success of HRC are presented through the Battelle Institute publications and conventions. These, additional references, and links for papers written by consultants is available on our web site.

If some of the possible application and microbial question are addressed, Regenesis is still prepared to offer HRC at no cost for a re-injection as well as contribute to the direct injection contractors costs. Regenesis appreciates the opportunity to respond the pilot report. Please feel free to contact Gunnar Møller or me if you have any questions or need more information.

Sincerely, David S. Peterson Principal Hydrologist

Klik på billederne for at se dem i naturlig størrelse: